UNSERE VERMESSUNGSLEISTUNGEN
UNSERE VERMESSUNGSLEISTUNGEN
Wir erfüllen auch anspruchsvollste Anforderungen mit einem Angebot zahlreicher Vermessungsleistungen. Ihre Zufriedenheit hat für uns stets höchste Priorität.
Grenzvermessung | Katastervermessung
Als Öffentlich bestellter Vermessungsingenieur bin ich berechtigt in ganz Sachsen hoheitliche Grenzvermessungen (Katastervermessungen) durchzuführen. Ich handel dabei als Beliehener des Freistaates Sachsen.
Der Leistungsbereich der Grenzvermessung erstreckt sich auf Grenzwiederherstellungen, Teilungsvermessungen (Bildung neuer Flurstücke) sowie Gebäudeeinmessungen ins Liegenschaftskataster.
Gebäudevermessung | Architekturvermessung | Bauwerksvermessung - mit 3D Laserscanning
Vom geometrischen Aufmaß von Wohnungen bis hin zur verformungsgerechten Vermessung denkmalgeschützter Objekte meistern wir jede Aufgabe auf diesem Gebiet.
Mittels 3D Laserscanning erfassen wir Ihr Objekt berührunglos und hochgenau. Aus den gewonnen Daten leiten wir Grundrisse, Ansichten und Vertikalschnitte ab. Des Weiteren liefern wir Wohnflächenberechnungen nach WoFlV für exakte und rechtssichere Flächenangaben in Ihren Kauf- und Mietverträgen.
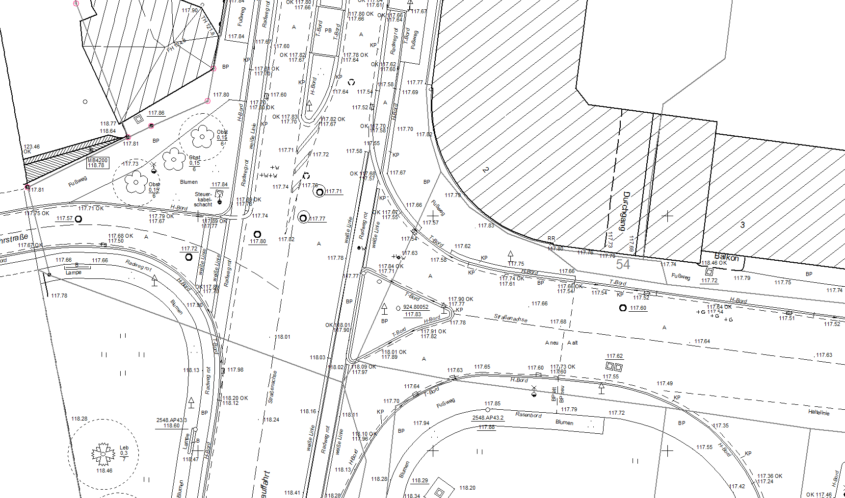
Lage- und Höhenplan | Entwurfsvermessung | Bestandsvermessung
Die Entwurfsvermessung bildet die Grundlage für alle geplanten Gebäude, Verkehrsanlagen und Ingenieurbauwerke. Auf diesem Gebiet bewegen wir uns im Geltungsbereich der Sächsischen Bauordnung (SächsBO).
Für eine Vielzahl von Bauwerken ist ein entsprechender Bauantrag notwendig. Ein wesentlicher Bestandteil des Bauantrags ist der Lage- und Höhenplan (amtlicher Lageplan). Dafür wird die Topografie vor Ort vermessungstechnisch erfasst und in einem Lage- und Höhenplan dargestellt.
Bauvermessung | baubegleitende Vermessung | Bauüberwachung
Während der gesamten Bauausführung sind eine Vielzahl von Vermessungsleistungen am Projekt notwendig. Mit uns erhalten Sie alle diese Leistungen aus einer Hand.
Die baubegleitende Vermessung behinhaltet alle Leistungen von der Beweissicherung durch Bestandsaufnahme vor Baubeginn, die erste Grob- und Feinabsteckung, Achsabsteckungen, Höhenvermessung (Meterrisse) in allen Geschossen sowie Kontroll- und Überwachungsmessungen zur Überprüfung des korrekten Baufortschritts.
koordinierter Leitungsplan | Leitungsvermessung | Medienbestandspläne
Dank jahrelanger Erfahrung sind wir im Stande, verlegte Gas-, sowie Trink- und Abwasserleitungen nach Ihren individuellen Anforderungen einzumessen und in unsere Bestandspläne zu integrieren. und Ihnen die Ergebnisse analog und digital zur Verfügung zu stellen. Das Ergebnis ist ein digitaler koordinierter Leitungsplan, welchen Sie auch in Ihr Geoinformationssystem (GIS) übernehmen können.
Nach der Verlegung von Gas-, Trink- oder Abwasserleitungen sowie Kabel der Energieversorgung werden diese von uns in Lage und Höhe erfasst. Diese Daten können anschließend in vorhandene Datenbestände integriert werden. Damit wird eine ständige Aktualisierung des Leitungsbestandes garantiert. Zudem können für spätere Bauvorhaben Leitungsverläufe an der Erdoberfläche signalisiert werden.
virtueller Rundgang |360° Panorama Fotografie
Nutzen Sie die Möglichkeit sich perfekt im Internet zu präsentieren. Mit Hilfe eines virtuellen Rundgangs schaffen Sie ein individuelles Erlebnis für die Besucher Ihrer Website. Mit der genutzten Technologie gehen Ihre Kunden auf eine virtuelle Entdeckungstour.
Im virtuellen Rundgang können individuell Objekte markiert und mit zusätzlichen Informationen, Verlinkungen, Bildern oder Videos verknüpft werden. Damit bieten Sie Ihren Kunden das Erlebnis, als wären Sie selbst vor Ort.
Sie benötigen eine Vermessung, dann vereinbaren Sie einen Termin für eine persönliche Beratung oder senden Sie uns Ihr Anliegen gern per E-Mail.
Sie benötigen eine Vermessung, dann vereinbaren Sie einen Termin für eine persönliche Beratung oder senden Sie uns Ihr Anliegen gern per E-Mail.
Wir bieten Ihnen für jede Aufgabenstellung die perfekte Lösung. Teilen Sie uns hierzu einfach Details zu Ihrem Vorhaben und den entsprechenden Anforderungen mit. Wir unterstützen Sie auf dem Gebiet der Vermessung vollumfänglich bei der Realisierung Ihres Projektes.




